03.10.2014 | V posledních letech výrazně roste počet žádostí široké veřejnosti o určení ploštic nalezených jako nevítaní vetřelci v domácnostech. Většina těchto žádostí se týká několika málo druhů, z nichž část patří mezí mezi druhy v naší fauně nepůvodní, zatímco jiné jsou sice u nás původní, ale v posledních letech nabývají na početnosti a šíří se do nových oblastí v důsledku teplého klimatického období.

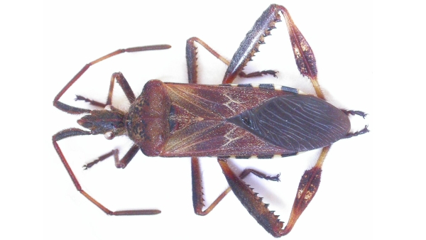
Asi nejnápadnějším vetřelcem je vroubenka americká (Leptoglossus occidentalis).Tato velká a nápadná ploštice (délka těla 15–20 mm) se liší od všech ostatních evropských ploštic listovitě rozšířenými holeněmi zadních nohou. Původní vlastí v. americké je západní pobřeží Severní Ameriky od Mexika po Britskou Kolumbii. V Evropě byla poprvé objevena v roce 1999 v severní Itálii a během pouhých 15 let dokázala osídlit celou Evropu od Portugalska do východního Ruska a od jižního Norska po Sicílii a Řecko, a rovněž překročila mořské úžiny do Turecka a severní Afriky. V ČR byla vroubenka poprvé nalezena v roce 2006 v Brně a dnes už se vyskytuje běžně v nižších polohách na celém území našeho státu. Vroubenka americká se vyvíjí na nejrůznějších druzích jehličnanů, kterým vysává semena přímo v šiškách. Při hledání potravy pomáhá vroubenkám „termovize“ – dokážou vnímat infračervené záření vydávané šiškami, které se na stromě zahřívají mnohem intenzivněji než jehličí, které zůstává chladné. Vroubenka tak „vidí“ zářící šišky na pozadí temného jehličí. Tato „termovize“ se vroubence také hodí při vyhledávání vhodného, teplého a suchého úkrytu k přezimování. V přírodě to byly většinou chráněné stromové dutiny, avšak v dnešní urbanizované krajině jsou to obvykle úkryty vytvořené lidskou činností či přímo lidské příbytky. Vroubenky se tak často vyskytují přímo na fasádách budov, balkónech, či pronikají větracími otvory do interiéru. Jelikož se vroubenkám v městské zeleni obvykle daří, může se jich sejít až několik stovek či dokonce tisíc jedinců, což si může vyžádat dezinsekční zásah. Avšak i v takovém případě je potřeba neztratit zdravý rozum, ne jako v případě jednoho města na Slovensku, kde ve snaze zabránit přemnožování v. americké odstranily všechny jehličnany z městské zeleně.

Dalším častým nevítaným hostem v domácnostech je kněžice mlhovitá (Rhaphigaster nebulosa), poměrně velký druh ploštice (14–16 mm) se světle hnědým tělem pokrytým drobnými černými skvrnkami. Pokud si chceme být opravdu jisti, že máme před sebou k. mlhovitou, je potřeba podívat se jí na spodní stranu těla – z báze jejího zadečku vybíhá nápadný štíhlý trn, který dosahuje až mezi přední nohy. Kněžice mlhovitá je u nás druhem původním, avšak donedávna byla považována za vzácnost, se kterou se bylo možno setkat jen vzácně v nejteplejších oblastech jižní Moravy a středních Čech. S oteplováním v posledních letech se však stala v teplých oblastech poměrně hojnou a šíří se i do výše položených míst, kde se dříve nevyskytovala. Během léta, kdy se vyskytuje v korunách listnatých stromů, se s k. mlhovitou setkáme jen výjimečně, avšak s příchodem podzimu si začíná hledat místa k přezimování a můžeme ji často potkat, jak posedává na oknech na chodbách různých budov. Na rozdíl od vroubenek se však kněžice mlhovité vyskytují obvykle jednotlivě nebo jen v několika málo kusech a nepůsobí tak zásadní pohoršení.

Svým vzhledem i způsobem života se kněžici mlhovité podobá kněžice mramorovaná (Halyomorpha halys), která je obvykle tmavěji zbarvená a schází jí onen štíhlý trn na spodní straně těla. Kněžice mramorovaná pochází z východní Asie. V roce 1996 však byla nalezena v Pennsylvánii na východě Spojených států, odkud se začala rychle šířit a za pouhých 12 let dosáhla v Kalifornii pobřeží Tichého oceánu. V Evropě byla poprvé nalezena v Lichtenštejnsku v roce 2004 a krátce na to i ve Švýcarsku, její rychlé šíření však začalo až v posledních třech letech, kdy byla zjištěna v sousedních státech – Itálii, Francii a Německu, ale i ve dvou dalších ohniscích šíření v Maďarsku a v Řecku. Kněžice mramorovaná se dokáže vyvíjet na mnoha druzích listnatých dřevin a bylin a je závažným škůdcem řady druhů ovoce a zeleniny, které poškozuje buď přímo svým sáním, nebo častěji přenosem plísní, které potom napadené plody zničí. V ČR nebyla k. mramorovaná zatím nalezena, ale její výskyt je jen otázkou času a je možné, že prvního dokladového jedince naleznete právě na vašem okně. Při podezření na nález k. mlhovité proto kontaktujte Entomologické oddělení Národního muzea nebo některé rostlinolékařské pracoviště (fotografie nebo přímo odchycení jedinci vítáni). Sledování výskytu tohoto invazního druhu je důležité, protože jeho výskyt u nás bude vyžadovat rostlinolékařská opatření k omezení jím způsobovaných škod.

Dalším druhem, který se v posledním desetiletí u nás usadil, je blánatka lipová (Oxycarenus lavaterae). Je to malá ploštice (5−6 mm) s černým tělem, růžovou přední kožovitou částí křídel a průsvitnou blanitou zadní částí křídel (tzv. membránou), která se na slunci stříbřitě leskne. Tento druh pochází ze západního Středomoří, kde se původně vyskytoval na slézovitých rostlinách. V 80. letech 20. století se tento druh objevil na Balkánském poloostrově, odkud se pak v 90. letech začal šířit směrem do střední Evropy. Populace blánatky na Balkáně a ve střední Evropě rovněž změnily svůj způsob života, ze slézovitých rostlin (obvykle byliny a keře) přešly na příbuzné lípy. Přes léto (červen až srpen) se vyskytují vysoko v korunách lip, kde probíhá jejich vývoj, avšak od konce srpna se stěhují na jižní osluněné strany lipových kmenů, kde se shání stovky až statisíce jedinců, kteří zde vytvářejí těsné shluky, v nichž jsou jedinci směstnáni v několika vrstvách na sobě v prasklinách kůry. Takto blánatky stráví většinu podzimu, celou zimu a většinu jara, než se koncem května vydají nahoru do korun. Agregace blánatek na stromech se obvykle už zdálky prozradí stříbřitými odlesky svých křídel, které vypadají, jako by byl strom pokrytý flitry. Přestože během tuhých zim většina jedinců blánatek zahyne, vždy jich několik přežívá do příštího roku. Během teplých zim ale přežívá mnohem více jedinců a druh se pak může následujícího léta přemnožit. Tento způsob hromadného přezimování je mezi evropskými plošticemi naprosto unikátní. V ČR byla b. lipová nalezena poprvé v roce 2004 v Brně a již o rok později byly zjištěny její agregace na mnoha lokalitách v nížinách jižní Moravy. Dnes ji můžeme najít severně až v okolí Olomouce a rovněž v Praze a Českých Budějovicích. Blánatky se většinou zdržují na kmenech lip a nepředstavují pro okolí žádnou hrozbu, v případě masového přemnožení se však jejich agregace mohou objevit i na lavičkách a dalších objektech v parcích nebo na fasádách domů, kde mohou svojí přítomností obtěžovat obyvatele (takový případ byl hlášen například v září 2014 ze Znojma). Kuriozní je i historie prvního nálezu b. lipové v Německu, kde byla zjištěna po stížnostech hostů letních restaurací, kterým padaly ploštice z korun lip přímo do piva.

Zatímco s předchozími druhy ploštic se můžeme setkat i v horních patrech výškových budov, poslední druh se drží při zemi. Pozemka obecná (Rhyparochromus vulgaris) (7−8 mm) je náš běžný, původní druh. Vyskytuje se na povrchu půdy pod vegetací na nejrůznějších místech, včetně těch silně ovlivněných člověkem (suché trávníky, písky, zahrady, ruderály), kde se živí převážně vysáváním semen různých rostlin. Během podzimu si i pozemky hledají úkryty k přezimování a můžeme je pak najít v okolí lidských příbytků, v hospodářských budovách, nebo v přízemích domů. Obvykle se pozemky vyskytují jen jednotlivě, avšak pokud jim člověk vytvoří vhodné podmínky k životu, například položením mulčovací kůry v okolí domu, mohou se místy přemnožovat a následně znepokojovat obyvatele.
Autorem článku je Petr Kment z Entomologického oddělení Národního muzea.
KAM DÁL?
Obávaní prvohorní predátoři hýřili barevnými vzory!
Joachim Barrande: Ingénieur en Chef à Prague
Globální oteplení zapsané do kamene
(dan)
| dexwqe | wdqěe | neděle 22. května 2016 13:40 |
Archeologie Historie Hudba Lidová kultura Mimoevropské kultury Osobnosti Přírodní vědy Rekonstrukce Restaurování Rukopisy a tisky Umění Vánoce Výstavy
Muzeum 3000, zpravodajský portál Národního muzea, odhaluje jedinečná tajemství. Více se dozvíte zde!